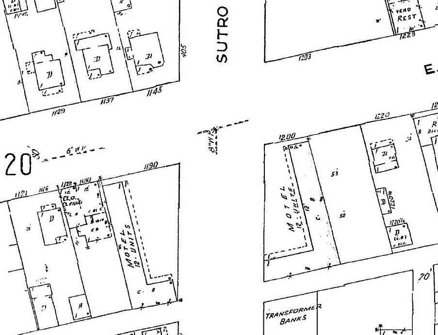
The 1955 Sanborn fire insurance map shows the two-part Sutro Motel, surrounded by small single-family houses, which are marked D for "dwelling." | Creator: Sanborn Fire Insurance Company | Date: 1955 | Source: U.S. Library of CongressDownload Original File
Creator
Sanborn Fire Insurance Company
Source
U.S. Library of Congress
Date
1955
"The neighborhood in 1955" appears in: Sutro Motel